Up
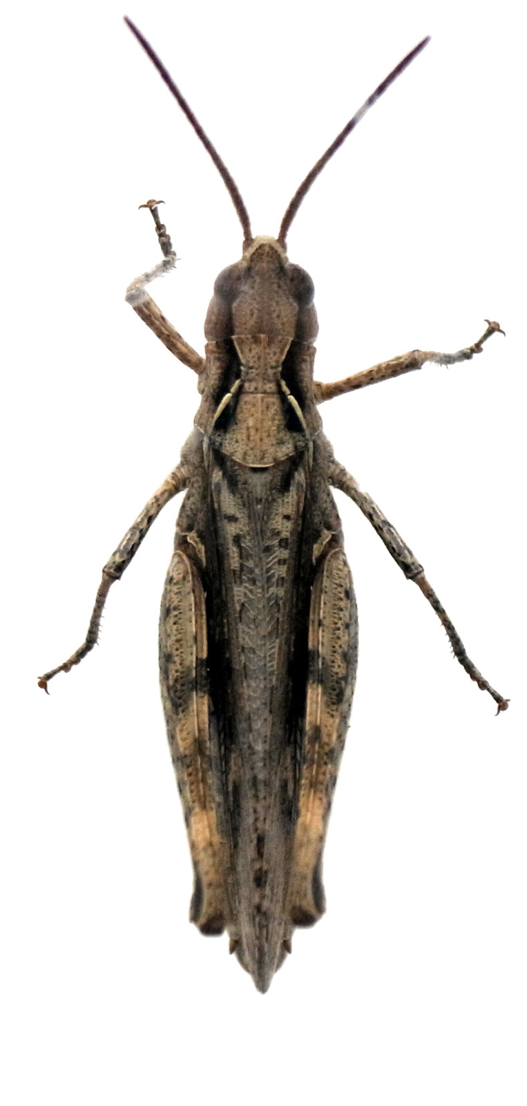
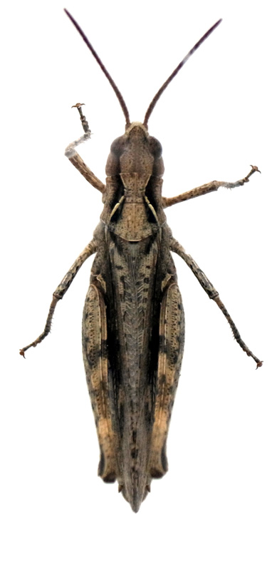
ヒナバッタ 01
作成: 2018-08-13
更新: 2018-08-13
2018-08-13
体長:2.5 cm