Up
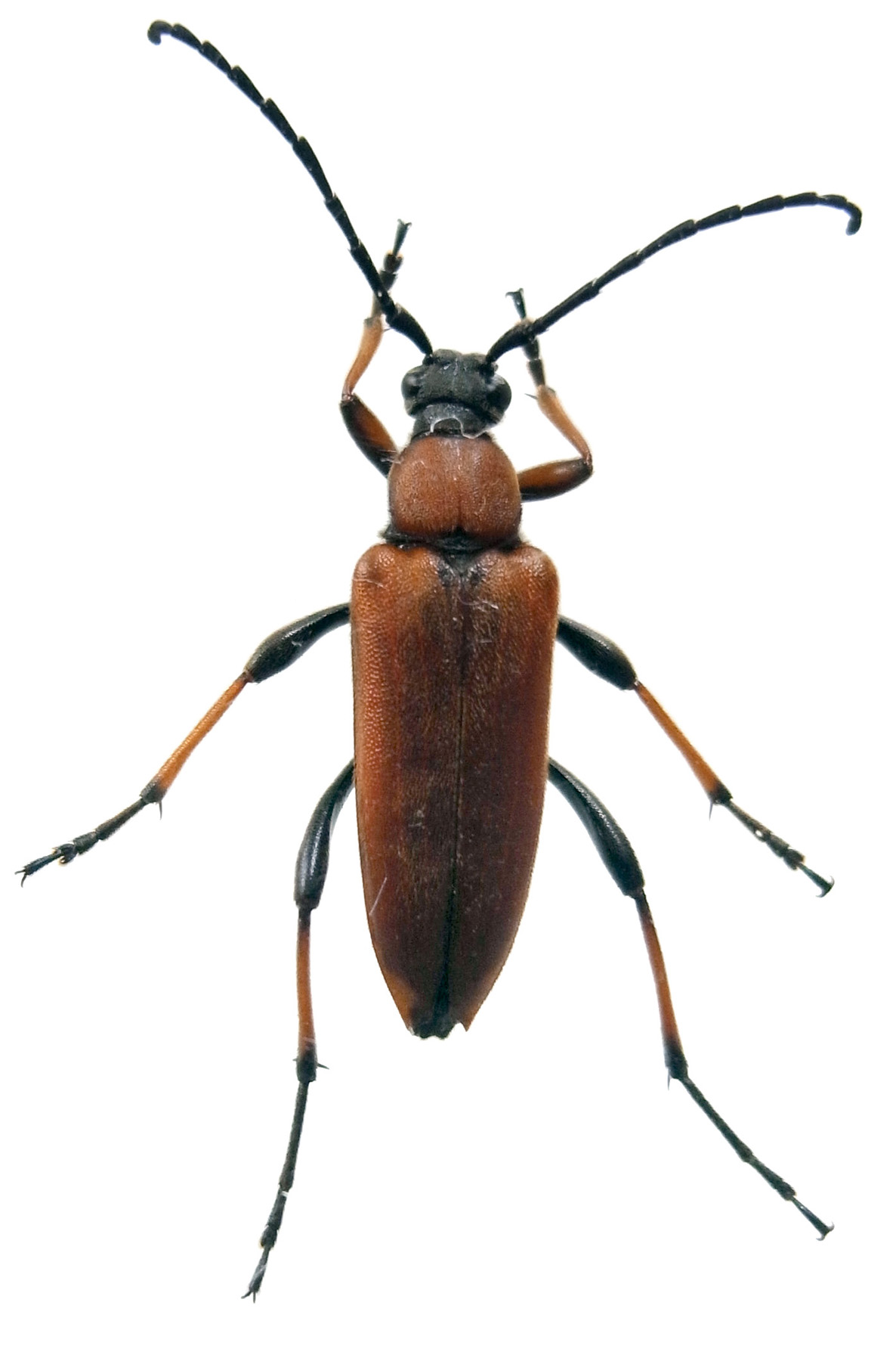
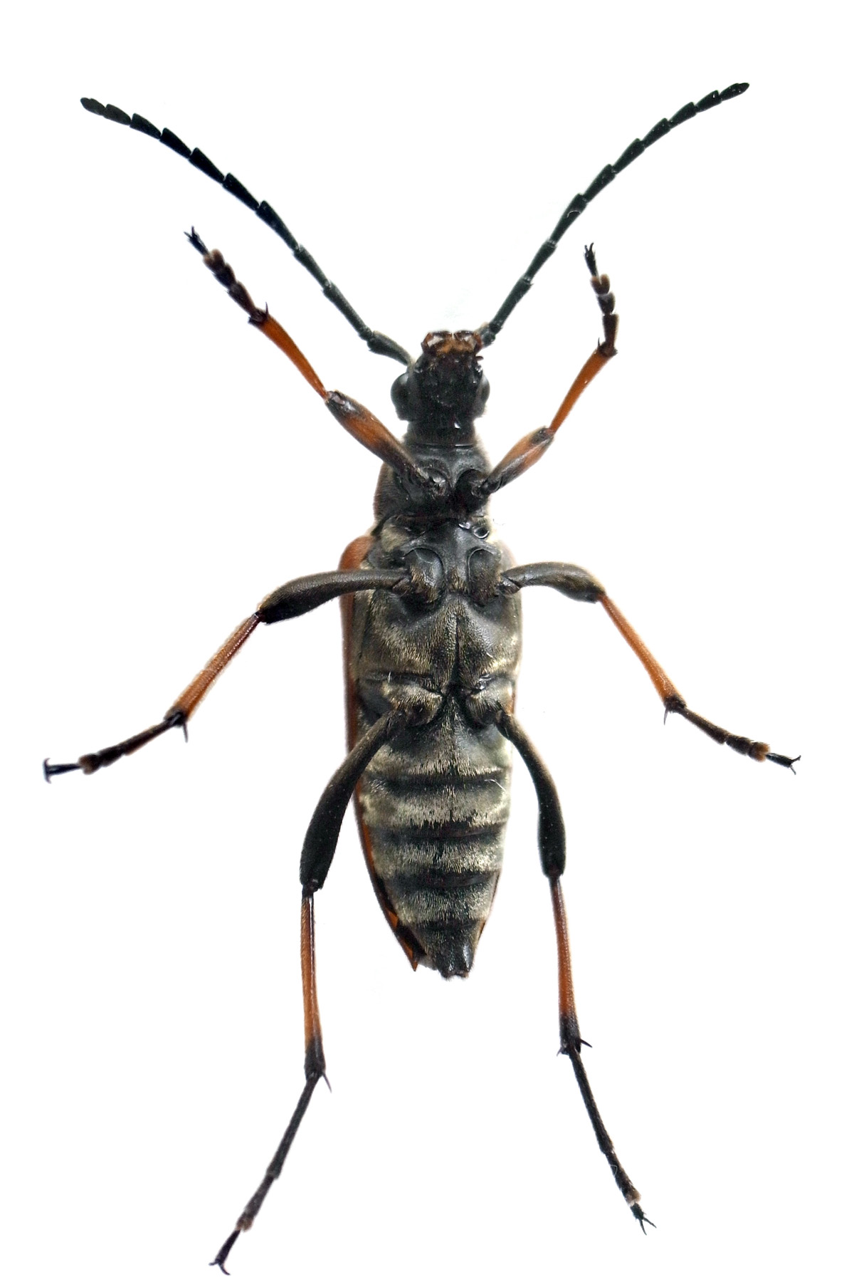
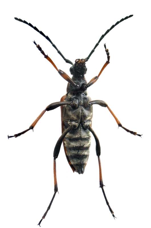
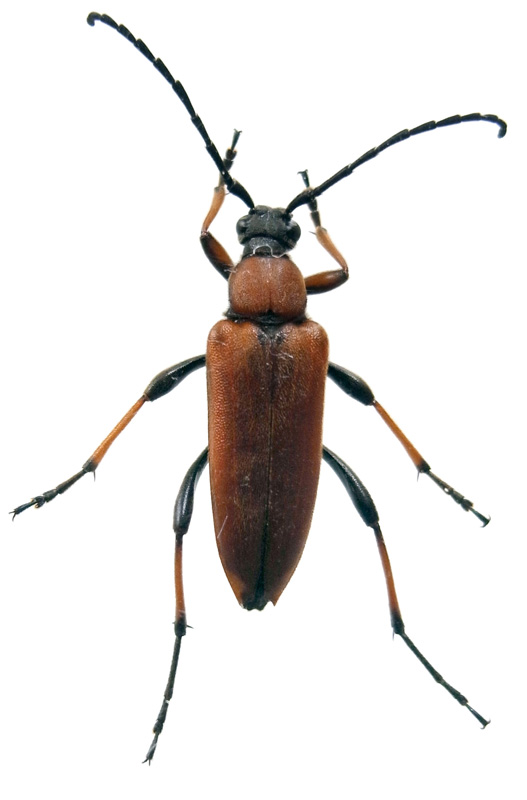
アカハナカミキリ 02
作成: 2018-08-07
更新: 2018-08-07
>