Up
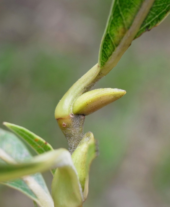
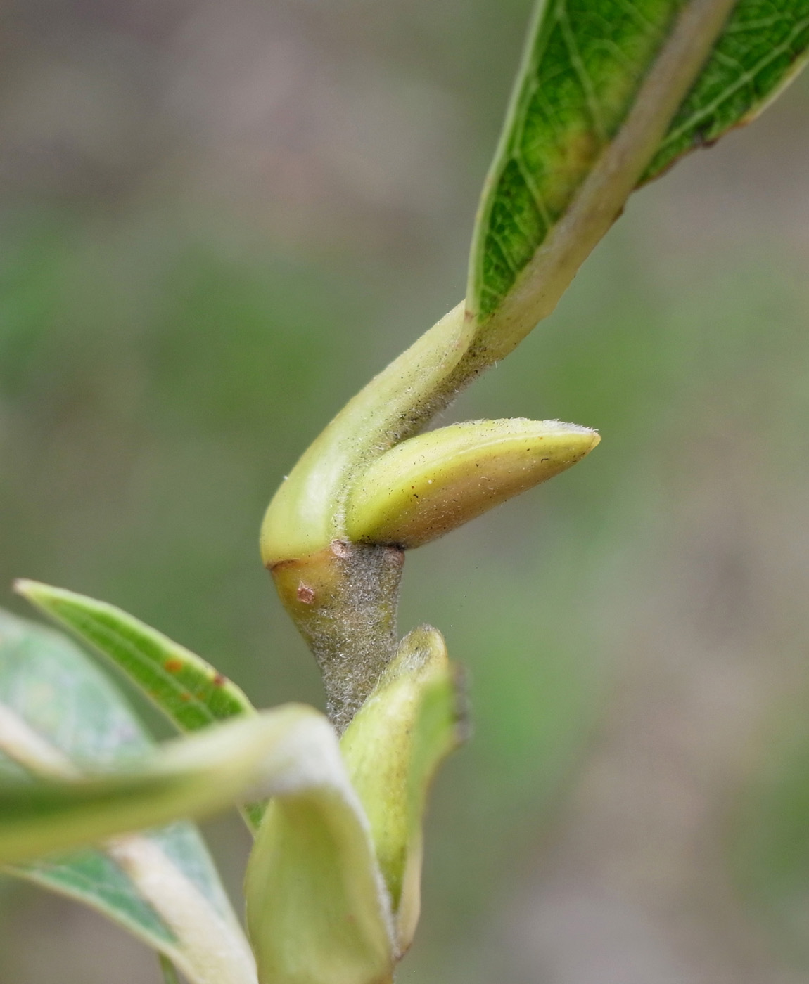
エゾノカワヤナギ 09 : 冬芽
作成: 2011-05-11
更新: 2012-03-10
2014-10-16
2012-10-16
2011-12-11
2012-03-10
(室内水挿しで,芽吹き)
a:
2012-03-12